Quinte West city council authorized a by-law allowing for the rezoning of a section north of Teal Road on Wednesday.
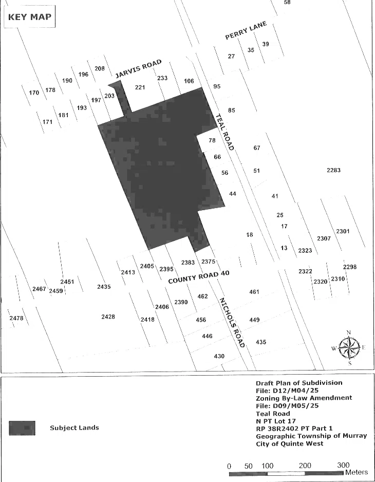
The city’s Planning Committee received both a Draft Plan of Subdivision and a Zoning By-law amendment application at its April 17, 2025 meeting.
It calls for a subdivision containing 13 lots of single-detached dwellings, one block for a stormwater management pond, and an internal road.
The subdivision would be privately serviced with individual wells and septic systems.
The submission was for draft plan approval, with a number of technical requirements needing to be reached before final approval.
During the planning committee meeting, as well as council meeting, there was concern from residents about the project, specifically when it comes to the well water system.
“So it’s going to be great for the people on the drill wells, but what happens to us that are on the dug wells,” asked resident Rebecca McKay during public input on Wednesday.
“We have no recourse of action against the developer, if, in five years, all of our wells dry up and yes, correlation is not causation, but it begs to differ when there’s a whole bunch more people drawing on a water source, that it’s going to make an effect on someone.”
Following public input, an ecological consultant on the project explained the well testing that had been done as part of their survey.
“What we ended up doing was drilling through and we tested those three wells, and they had to undergo a six-hour pumping test. So a very long pumping test … I think each one was in about 4.7 or five gallons per minute, imperial gallons per minute, which maintains the peak in the morning and peak at night,” Rob West explained to council.
“So the idea was we pumped each one at six hours and we put in transducer loggers in some of the wells, the board wells, and of our dug wells next door, and watched as we pumped down the water level in the test wells, the three test wells, to see if there was any interference on the dug wells. We did not have any interference.”
Council approved the minutes of the planning committee and authorized the by-law.




